Dự án Khu đô thị Đông Bình Dương là tâm điểm trên bản đồ bất động sản Bình Dương. Để giúp quý độc giả có cái nhìn chân thực, bài viết này của Inter Stella sẽ tập trung cung cấp hình ảnh của dự án Đông Bình Dương cập nhật nhất, từ quy hoạch đến tiến độ thực tế, cùng phân tích chi tiết về tiềm năng và sức hút của khu đô thị này.
Tổng Quan và Vị Trí Chiến Lược của Dự Án Đông Bình Dương
Khu đô thị Đông Bình Dương là một dự án quy mô lớn, được quy hoạch trở thành khu đô thị loại 2 của tỉnh Bình Dương. Với tổng diện tích ấn tượng lên đến 126,7ha, dự án này không chỉ hứa hẹn mang lại một môi trường sống lý tưởng mà còn góp phần vào sự phát triển đô thị hóa của thành phố Dĩ An. Tầm nhìn dài hạn của chủ đầu tư là xây dựng một cộng đồng cư dân hiện đại, tiện nghi và thịnh vượng, đáp ứng mọi nhu cầu từ an cư đến đầu tư.
Quy Mô và Tiềm Năng Phát Triển
Dự án có tổng diện tích đất là 1.267.002 m², tương đương 126,7ha, được quy hoạch bài bản với 6.433 nền đất đa dạng. Vị trí đắc địa tại đường Nguyễn Thị Minh Khai, phường Tân Bình, thành phố Dĩ An, tỉnh Bình Dương mang lại lợi thế vượt trội về kết nối giao thông và tiện ích ngoại khu. Tính đến tháng 10 năm 2023, Công ty TNHH Phát triển Đô thị Đông Bình Dương đã được giao đất qua 10 đợt với tổng diện tích lên tới 1.251.798 m², tức khoảng 125,17ha. Điều này cho thấy sự tiến triển vững chắc trong quá trình pháp lý và chuẩn bị triển khai của dự án.
Phần diện tích còn lại chưa giao đất, khoảng 1,52ha, đang trong giai đoạn hoàn tất thủ tục bồi thường, chuyển nhượng với người dân và thực hiện quy trình giao, thuê đất theo đúng quy định pháp luật hiện hành. Về nghĩa vụ tài chính, Công ty đang phối hợp với Văn phòng đăng ký đất đai và Cục thuế để hoàn thành các khoản đóng góp đối với diện tích này, đảm bảo tính minh bạch và tuân thủ quy định.
Thông báo chi tiết về các lô đất được phép xây dựng nhà đợt 1 tại dự án Đông Bình Dương, thể hiện tiến độ pháp lý.
Các loại hình nền đất tại đây cũng rất đa dạng, với diện tích từ 60m² đến 135m², bao gồm các kích thước phổ biến như 5x10m, 5x13m, 5x15m, 5x16m, 5x17m, 5x20m, 7.5x16m và 7.5x18m. Sự linh hoạt trong diện tích giúp dự án đáp ứng nhu cầu an cư của nhiều đối tượng khách hàng, từ các gia đình trẻ đến những nhà đầu tư tìm kiếm cơ hội sinh lời. Quy mô dân số dự kiến của khu đô thị này dao động từ 23.036 đến 31.675 người, tạo nên một cộng đồng dân cư đông đúc và sầm uất.
<>Xem Thêm Bài Viết:<>- Khám Phá **Sri Lanka Là Ở Đâu**: Vị Trí, Văn Hóa và Kinh Tế
- Tăng Minh Phụng là ai: Tiểu sử và hành trình trở thành tỷ phú công nghệ
- Đánh Giá Toàn Diện Khu Công Nghiệp Đồ Sơn Hải Phòng
- Câu Hỏi Vĩ Đại: “Em Là Ai?” – Hành Trình Tìm Lại Bản Thân Qua Cửa Sổ Tâm Hồn
- Nam chính trong clip vũ thư là ai: Tìm hiểu về nhân vật viral và bối cảnh câu chuyện
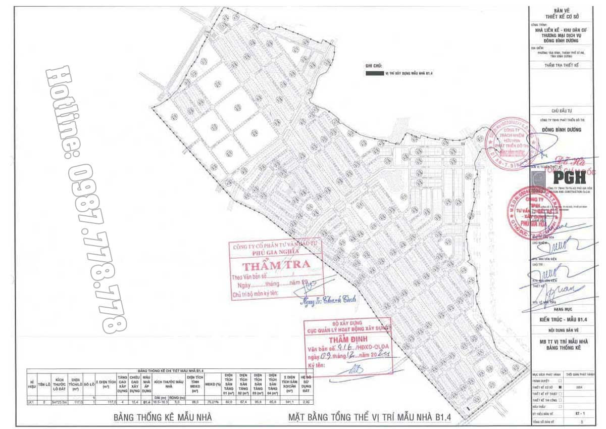
Bản đồ quy hoạch chi tiết các vị trí mẫu nhà đã được thẩm định trong khuôn viên khu đô thị Đông Bình Dương.
Cập Nhật Pháp Lý và Giấy Phép của Dự Án Đông Bình Dương
Tính minh bạch về pháp lý là yếu tố then chốt tạo nên sự tin tưởng cho các nhà đầu tư và cư dân tại bất kỳ dự án bất động sản nào. Dự án Khu đô thị Đông Bình Dương tự hào sở hữu đầy đủ các giấy tờ pháp lý cần thiết, được các cơ quan chức năng của tỉnh Bình Dương phê duyệt, đảm bảo quyền lợi hợp pháp cho khách hàng. Các văn bản pháp lý này không chỉ chứng minh tính hợp lệ của dự án mà còn là cơ sở để đánh giá tiềm năng phát triển bền vững.
Các Quyết Định Quan Trọng
Loạt các quyết định hành chính từ cấp tỉnh đến cấp thành phố đã xác nhận pháp lý vững chắc cho dự án:
- Công văn số 70/UBND-KTN ngày 10 tháng 01 năm 2018 của UBND tỉnh Bình Dương, đồng ý chủ trương phát triển dự án.
- Quyết định số 4046/QĐ-UBND của Thị Xã Dĩ An (nay là Thành phố Dĩ An) phê duyệt đồ án điều chỉnh quy hoạch chi tiết tỉ lệ 1/500 ngày 10 tháng 01 năm 2018, định hình rõ ràng cấu trúc và phân khu chức năng của khu đô thị.
- Quyết định số 393/QĐ-UBND ngày 15 tháng 02 năm 2024 của UBND tỉnh Bình Dương về kế hoạch sử dụng đất năm 2024 của TP. Dĩ An, trong đó dự án được chuyển mục đích sử dụng 125,2ha đất ở tại đô thị (ODT) trên tổng 126,7ha, khẳng định mục tiêu phát triển nhà ở lâu dài.
- Quyết định số 846/SXD-PTĐT&HTKT của Sở Xây dựng tỉnh Bình Dương về việc thẩm định thiết kế cơ sở hạ mục hạ tầng kỹ thuật ngày 16 tháng 03 năm 2021, đảm bảo chất lượng và tiêu chuẩn kỹ thuật cho hệ thống hạ tầng của dự án.
- Quyết định số 3576/QĐ-UBND ngày 28 tháng 12 năm 2023 chấp thuận chủ trương điều chỉnh tiến độ thực hiện dự án, thể hiện sự linh hoạt và khả năng điều chỉnh theo thực tế của chủ đầu tư.
- Giấy phép xây dựng số 458/GPXD do Sở Xây Dựng ký ngày 05 tháng 02 năm 2024 là bước pháp lý quan trọng nhất, cho phép dự án triển khai xây dựng các công trình trên đất, hiện thực hóa tầm nhìn quy hoạch.
Những văn bản này là minh chứng rõ ràng cho sự chuẩn bị kỹ lưỡng về mặt pháp lý của chủ đầu tư, mang lại sự an tâm tuyệt đối cho khách hàng khi tìm hiểu về hình ảnh của dự án Đông Bình Dương và quyết định đầu tư.
Vị trí chiến lược của dự án Đông Bình Dương được hiển thị rõ ràng trên bản đồ Google Maps, kết nối giao thông thuận tiện.
Tiện Ích Nội Khu và Liên Kết Vùng Từ Dự Án Đông Bình Dương
Khu đô thị Đông Bình Dương không chỉ nổi bật với quy mô và pháp lý vững chắc mà còn gây ấn tượng mạnh mẽ nhờ hệ thống tiện ích nội khu đa dạng cùng khả năng kết nối vùng vượt trội. Các tiện ích được quy hoạch đồng bộ nhằm kiến tạo một không gian sống tiện nghi, hiện đại, đáp ứng mọi nhu cầu của cư dân, từ giáo dục, y tế đến giải trí và mua sắm.
Tiện Ích Nội Khu Hiện Đại
Dự án được quy hoạch theo tiêu chuẩn đô thị loại hai của tỉnh Bình Dương, hướng đến mô hình đô thị xanh, hiện đại như Singapore. Cụ thể, khu đô thị sẽ có 5 công viên lớn và 16 mảng xanh nhỏ, tạo nên không gian sống trong lành và gần gũi với thiên nhiên. Hệ thống giáo dục cũng được chú trọng với 5 trường mầm non, 4 trường tiểu học, 1 trường THCS và 1 trường THPT, đảm bảo môi trường học tập chất lượng cho các thế hệ cư dân.
Ngoài ra, dự án còn có 1 chợ truyền thống, 2 phòng khám đa khoa, và 7 tòa nhà chung cư, bổ sung tiện ích mua sắm và chăm sóc sức khỏe ngay trong nội khu. Đặc biệt, hạ tầng kỹ thuật được đầu tư hiện đại với hệ thống điện nước âm, hệ thống phòng cháy chữa cháy tiên tiến. Mỗi lô nhà đều được bố trí cây xanh xen kẽ, phía sau nhà có 2m thoát hiểm và lối đi bộ toàn khu rộng 4m, tăng cường an toàn và không gian xanh cho cư dân. Trục đường chính D7 (đường vành đai) rộng 30m, mặt đường 16m và vỉa hè mỗi bên 7m. Các đường liên thông D32 và D58 rộng 21m, mặt đường 9m và vỉa hè mỗi bên 6m. Các trục đường nội bộ rộng 13m, mặt đường 7m và vỉa hè mỗi bên 3m, đảm bảo giao thông thông suốt.
Quyết định số 4046 của UBND thị xã Dĩ An, minh chứng cho sự phê duyệt điều chỉnh quy hoạch dự án Đông Bình Dương.
Lợi Thế Kết Nối Giao Thông
Vị trí của dự án Đông Bình Dương trên trục đường Nguyễn Thị Minh Khai, thông ra tuyến Bùi Thị Xuân và đường Vành đai cao tốc Mỹ Phước – Tân Vạn, mang lại khả năng kết nối vượt trội đến các khu vực trọng điểm. Cư dân có thể dễ dàng di chuyển đến Biên Hòa, Thủ Đức, TP. Hồ Chí Minh, TP. Thủ Dầu Một chỉ trong thời gian ngắn.
Từ dự án, chỉ mất khoảng 5 phút để đến trung tâm hành chính Dĩ An và khoảng 15 phút để vào TP. Hồ Chí Minh. Các tiện ích lớn lân cận bao gồm vòng xoay An Phú 2km, ngã tư 550 khoảng 4,5km, AEON Bình Dương và BigC Dĩ An 6km, bệnh viện quốc tế BECAMEX 5km. Đặc biệt, khu đô thị này gần nhiều khu công nghiệp lớn như Tân Đông Hiệp, VSIP 1, Sóng Thần, Bình Đường, Linh Trung, Việt Hương, Đồng An, tạo điều kiện thuận lợi cho việc làm và sinh sống. Bán kính 1,5 km quanh dự án còn có UBND phường Tân Bình, Công an phường Tân Bình, Chợ Tân Bình cùng hệ thống trường học các cấp, đáp ứng mọi nhu cầu thiết yếu của đời sống.
Phối cảnh tổng thể và hình ảnh thực tế dự án Đông Bình Dương đang dần hình thành với hạ tầng đồng bộ.
Hình Ảnh Thực Tế Dự Án Đông Bình Dương và Tiến Độ Thi Công
Sau khi tiếp nhận dự án từ Công ty Cổ phần Ngoại thương và Phát triển Đầu tư TP. Hồ Chí Minh (Fideco), Công ty TNHH Phát triển Đô thị Đông Bình Dương đã đẩy nhanh tiến độ triển khai. Những hình ảnh của dự án Đông Bình Dương qua từng giai đoạn cho thấy sự nỗ lực không ngừng nghỉ, biến quy hoạch trên giấy thành hiện thực. Mặc dù gặp phải nhiều thách thức, chủ đầu tư vẫn kiên định với mục tiêu hoàn thiện khu đô thị.
Diễn Biến Tiến Độ và Những Thách Thức
Các hoạt động chính bao gồm điều chỉnh quy hoạch chi tiết, điều chỉnh tiến độ tại Giấy chứng nhận đầu tư, trình duyệt hồ sơ thiết kế cơ sở hạ tầng kỹ thuật, và hoàn tất việc thỏa thuận đền bù – chuyển nhượng đất. Dự án đã thực hiện thủ tục giao thuê đất qua 10 đợt với tổng diện tích 125,2ha/126,7ha, đồng thời xin cấp phép và đầu tư xây dựng một số hạng mục hạ tầng kỹ thuật để sớm bàn giao tái định cư cho người dân.
Tuy nhiên, giai đoạn 2020-2021 với dịch bệnh Covid kéo dài và giãn cách xã hội đã ảnh hưởng lớn đến tiến độ chung. Quá trình thực hiện các thủ tục giao đất, thuê đất cũng kéo dài do có phần diện tích đất xen kẹt (đất kênh, rạch, mặt nước), khiến Công ty không thể thực hiện đúng tiến độ đã được UBND tỉnh chấp thuận. Đặc biệt, theo Quyết định số 222 QĐ-UBND ngày 10/2/2023 của UBND tỉnh Bình Dương, các dự án thuộc địa giới hành chính thành phố Dĩ An phải thực hiện đầu tư xây dựng nhà ở để bán, cho thuê hoặc cho thuê mua, bổ sung thêm yêu cầu vào quá trình triển khai.
Hình Ảnh Mẫu Nhà Dự Án Đông Bình Dương Tiêu Biểu
Các hình ảnh mẫu nhà dự án Đông Bình Dương là minh chứng rõ nét cho định hướng phát triển nhà ở chất lượng cao. Các thiết kế nhà phố liền kề được thẩm định kỹ lưỡng, đảm bảo tính thẩm mỹ, công năng sử dụng tối ưu và phù hợp với lối sống hiện đại. Những mẫu nhà này không chỉ mang đến không gian sống thoải mái mà còn góp phần tạo nên một diện mạo kiến trúc đồng bộ, hài hòa cho toàn khu đô thị.
Mẫu nhà phố liền kề điển hình đã được thẩm định tại dự án khu đô thị Đông Bình Dương.
Những mẫu thiết kế thường ưu tiên không gian mở, đón ánh sáng tự nhiên và gió trời, với các ban công, cửa sổ lớn. Vật liệu xây dựng được lựa chọn kỹ càng, đảm bảo độ bền và tính thẩm mỹ. Mỗi căn nhà đều được tính toán để tối ưu hóa diện tích sử dụng, mang lại sự tiện nghi và riêng tư cho mỗi gia đình. Hình ảnh về các mẫu nhà của dự án Đông Bình Dương không chỉ là bản vẽ mà còn là tầm nhìn về một cuộc sống lý tưởng trong tương lai.
Mẫu nhà phố hiện đại với ban công và cửa sổ lớn, mang lại không gian sống thoáng đãng tại Đông Bình Dương.
Hình ảnh mẫu nhà dự án Đông Bình Dương với thiết kế tinh tế, phù hợp với cuộc sống hiện đại.
Góc nhìn khác về mẫu nhà đã được phê duyệt trong hình ảnh dự án Đông Bình Dương.
Hình ảnh các mẫu nhà của dự án Đông Bình Dương, đa dạng về kiểu dáng và công năng sử dụng.
Hình ảnh thiết kế mẫu nhà dự án Đông Bình Dương với không gian xanh phía trước.
Phân Kỳ Dự Án và Lộ Trình Bàn Giao
Dự án được chia thành hai phân kỳ chính để tối ưu hóa quá trình triển khai và bàn giao:
- Phân kỳ 1: Tổng diện tích 119,33ha, tập trung vào việc đầu tư các công trình hạ tầng kỹ thuật và xây dựng đa dạng loại hình nhà ở (nhà ở liên kế thương mại, chung cư thương mại, nhà ở xã hội, nhà ở tái định cư), cùng với các công trình tiện ích như phòng khám đa khoa, trường học, trung tâm hành chính, thương mại dịch vụ, công viên cây xanh, mặt nước và khu thể thao. Toàn bộ diện tích của phân kỳ 1 nằm trong 125,17ha đã được giao đất, cho thuê đất.
- Phân kỳ 2: Tổng diện tích 7,37ha, sẽ tiếp tục đầu tư các công trình hạ tầng kỹ thuật và xây dựng các loại hình nhà ở tương tự (nhà ở liên kế thương mại, nhà ở xã hội, nhà ở tái định cư, trường học).
Hiện tại, dự án đang trong giai đoạn tăng tốc, đã hoàn thành khoảng 90% công trình hạ tầng kỹ thuật. Các hạng mục như thảm nhựa đường, lắp đặt hệ thống chiếu sáng, điện nước, trồng cây xanh và lát gạch vỉa hè đang được gấp rút triển khai. Các phân khu đã thảm nhựa hoàn thiện hạ tầng đang được cắm mốc bàn giao nền vào thứ 6, thứ 7 hàng tuần, trong khi các phân khu còn lại sẽ được bàn giao theo từng giai đoạn tiếp theo.
.jpg)
Giá Trị Đầu Tư và Cơ Hội Sở Hữu Đất Nền tại Đông Bình Dương
Dự án Khu đô thị Đông Bình Dương không chỉ là nơi an cư lý tưởng mà còn mở ra nhiều cơ hội đầu tư hấp dẫn. Với vị trí chiến lược, quy hoạch bài bản và pháp lý minh bạch, giá trị bất động sản tại đây được kỳ vọng sẽ tăng trưởng ổn định trong tương lai, đặc biệt khi hạ tầng hoàn thiện và dân cư về ở đông đúc.
Bảng Giá Tham Khảo và Phân Tích Tiềm Năng
Hiện nay, giá đất nền tại dự án dao động từ 10,5 triệu/m² đến 16 triệu/m², được đánh giá là mức giá cạnh tranh nhất so với các khu vực đô thị lớn khác tại Bình Dương như TP. Dĩ An, TP. Thuận An, TP. Thủ Dầu Một, TX. Tân Uyên hay Bàu Bàng. Mức giá này tạo điều kiện thuận lợi cho cả người có thu nhập trung bình, công nhân viên chức muốn sở hữu đất nền, nhà ở an cư lạc nghiệp tại TP. Dĩ An, cũng như mang lại siêu lợi nhuận cho các nhà đầu tư khi tin tưởng vào tiềm năng của dự án.
Ví dụ, một lô đất có diện tích trung bình 80m² có giá từ 960 triệu đến 1,04 tỷ đồng, tùy thuộc vào vị trí cụ thể trong khu đô thị. Mức giá này không chỉ hấp dẫn mà còn là tiền đề vững chắc cho sự phát triển của dự án trong dài hạn. Các nhà đầu tư có thể kỳ vọng vào khả năng tăng giá vốn và dòng tiền ổn định từ việc cho thuê hoặc kinh doanh khi khu đô thị đi vào hoạt động ổn định.
Bảng giá đất tham khảo tại dự án khu đô thị Đông Bình Dương, cập nhật thông tin chi tiết về từng loại hình nền đất.
Giới Thiệu Chủ Đầu Tư Dự Án Đông Bình Dương
Chủ đầu tư của Dự án Khu đô thị Đông Bình Dương là CÔNG TY TNHH PHÁT TRIỂN ĐÔ THỊ ĐÔNG BÌNH DƯƠNG. Công ty có địa chỉ tại Tân Phú 2, Tân Phước, Phường Tân Bình, Thị Xã Dĩ An, Tỉnh Bình Dương. Đây là đơn vị chịu trách nhiệm chính trong việc triển khai, phát triển và hoàn thiện khu đô thị này, đảm bảo chất lượng công trình và tiến độ dự án theo cam kết. Sự hợp tác giữa chủ đầu tư và Công Ty TNHH Đầu Tư Xây Dựng HHA cũng góp phần thúc đẩy dự án đạt được những cột mốc quan trọng.
Phối cảnh 3D của dự án Đông Bình Dương thể hiện kiến trúc hiện đại và quy hoạch cảnh quan xanh.
Hình ảnh trung tâm thương mại Vincom Dĩ An, một tiện ích ngoại khu nổi bật gần dự án Đông Bình Dương.
Câu Hỏi Thường Gặp (FAQs) Về Dự Án Đông Bình Dương
1. Vị trí chính xác của dự án Khu đô thị Đông Bình Dương ở đâu?
Dự án tọa lạc tại đường Nguyễn Thị Minh Khai, phường Tân Bình, thành phố Dĩ An, tỉnh Bình Dương. Vị trí này có lợi thế kết nối giao thông thuận tiện đến các khu vực trọng điểm lân cận.
2. Quy mô tổng thể của dự án là bao nhiêu?
Tổng diện tích dự án là 126,7ha, được quy hoạch với 6.433 nền đất đa dạng, cùng nhiều tiện ích công cộng và nhà ở.
3. Pháp lý của dự án Đông Bình Dương đã hoàn thiện chưa?
Dự án đã có đầy đủ các văn bản pháp lý quan trọng như quyết định phê duyệt điều chỉnh quy hoạch 1/500, quyết định chuyển mục đích sử dụng đất, và giấy phép xây dựng từ Sở Xây dựng Bình Dương, đảm bảo tính hợp pháp.
4. Loại hình sản phẩm chính tại dự án là gì và diện tích ra sao?
Sản phẩm chính là đất nền và nhà phố liền kề. Diện tích đất nền đa dạng từ 60m² đến 135m², phù hợp với nhiều nhu cầu an cư và đầu tư.
5. Tiện ích nội khu tại dự án Đông Bình Dương có gì nổi bật?
Dự án được quy hoạch với 5 công viên, 16 mảng xanh, hệ thống trường học các cấp (mầm non, tiểu học, THCS, THPT), chợ, phòng khám đa khoa và các tòa chung cư. Hạ tầng điện nước âm, hệ thống phòng cháy chữa cháy, và lối đi bộ rộng rãi cũng là điểm cộng.
6. Mức giá đất nền tại dự án hiện nay như thế nào?
Giá đất nền dao động từ 10,5 triệu/m² đến 16 triệu/m², được đánh giá là mức giá rất cạnh tranh trong khu vực TP. Dĩ An và các đô thị lân cận, tạo cơ hội tốt cho người mua ở và nhà đầu tư.
7. Khi nào dự án sẽ bàn giao nền cho khách hàng?
Các phân khu đã thảm nhựa hoàn thiện hạ tầng đang được cắm mốc bàn giao nền vào thứ 6, thứ 7 hàng tuần. Các phân khu còn lại sẽ bàn giao theo từng giai đoạn tiếp theo.
8. Chủ đầu tư của dự án là ai?
Chủ đầu tư là CÔNG TY TNHH PHÁT TRIỂN ĐÔ THỊ ĐÔNG BÌNH DƯƠNG.
Những hình ảnh của dự án Đông Bình Dương đã cho thấy một bức tranh toàn diện về khu đô thị đang phát triển mạnh mẽ này. Từ quy hoạch bài bản, hệ thống pháp lý vững chắc đến tiến độ thi công thực tế và các mẫu nhà hiện đại, dự án không ngừng khẳng định tiềm năng trở thành một trong những khu đô thị đáng sống và đáng đầu tư nhất tại Bình Dương. Inter Stella hy vọng những thông tin chi tiết và hình ảnh thực tế dự án Đông Bình Dương đã cung cấp cái nhìn sâu sắc, giúp quý độc giả có những quyết định sáng suốt về tương lai an cư và đầu tư tại đây.










